Na podstawie art. 18 ust. 2 pkt 13 ustawy z dnia 8 marca 1990r. o samorządzie gminnym (Dz. U. z 2001r. Nr 142, poz. 1591, z 2002 r. Nr 23 poz. 220, Nr 62 poz. 558, Nr 113 poz. 984, Nr 153 poz. 1271, Nr 214 poz. 1806, z 2003 r. Nr 80 poz. 717, Nr 162 poz. 1568, z 2004r. Dz.U. Nr 102 poz. 1055, Nr 116 poz. 1203, Nr 167 poz. 1759, 2005r. Dz. U. Nr 172 poz. 1441, Nr 175 poz. 1457, z 2006 r. Nr 17 poz. 128, Nr 181 poz. 1337, z 2007 r. Nr 48 poz. 327, Nr 138 poz. 974, Nr 173 poz. 1218, z 2008 r. Nr 180 poz. 1111, Nr 223 poz. 1458) Rada Miasta Piły uchwala
| Dokumenty do pobrania: | |
![]() | Załącznik nr 1 (wprowadził: 2009-04-28 00:00:00) |
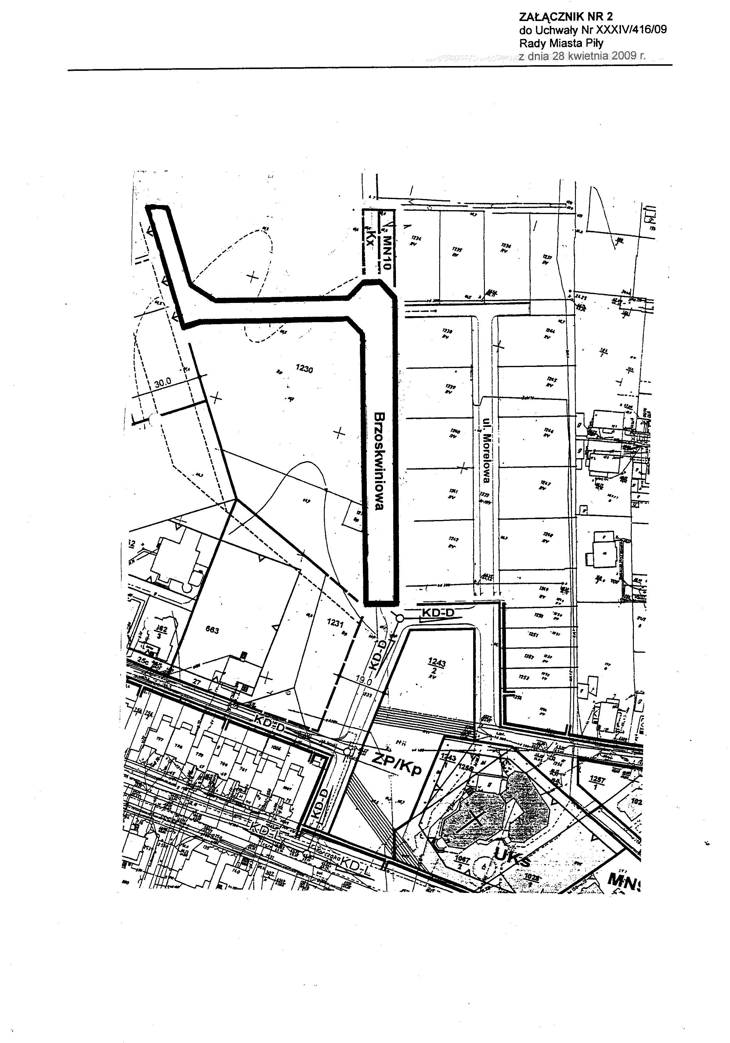
![]() | Załącznik nr 2 (wprowadził: 2009-04-28 00:00:00) |
![]() | Załącznik nr 3 (wprowadził: 2009-04-28 00:00:00) |
![]() | Załącznik nr 4 (wprowadził: 2009-04-28 00:00:00) |
![]() | Załącznik nr 5 (wprowadził: 2009-04-28 00:00:00) |
![]() | |





